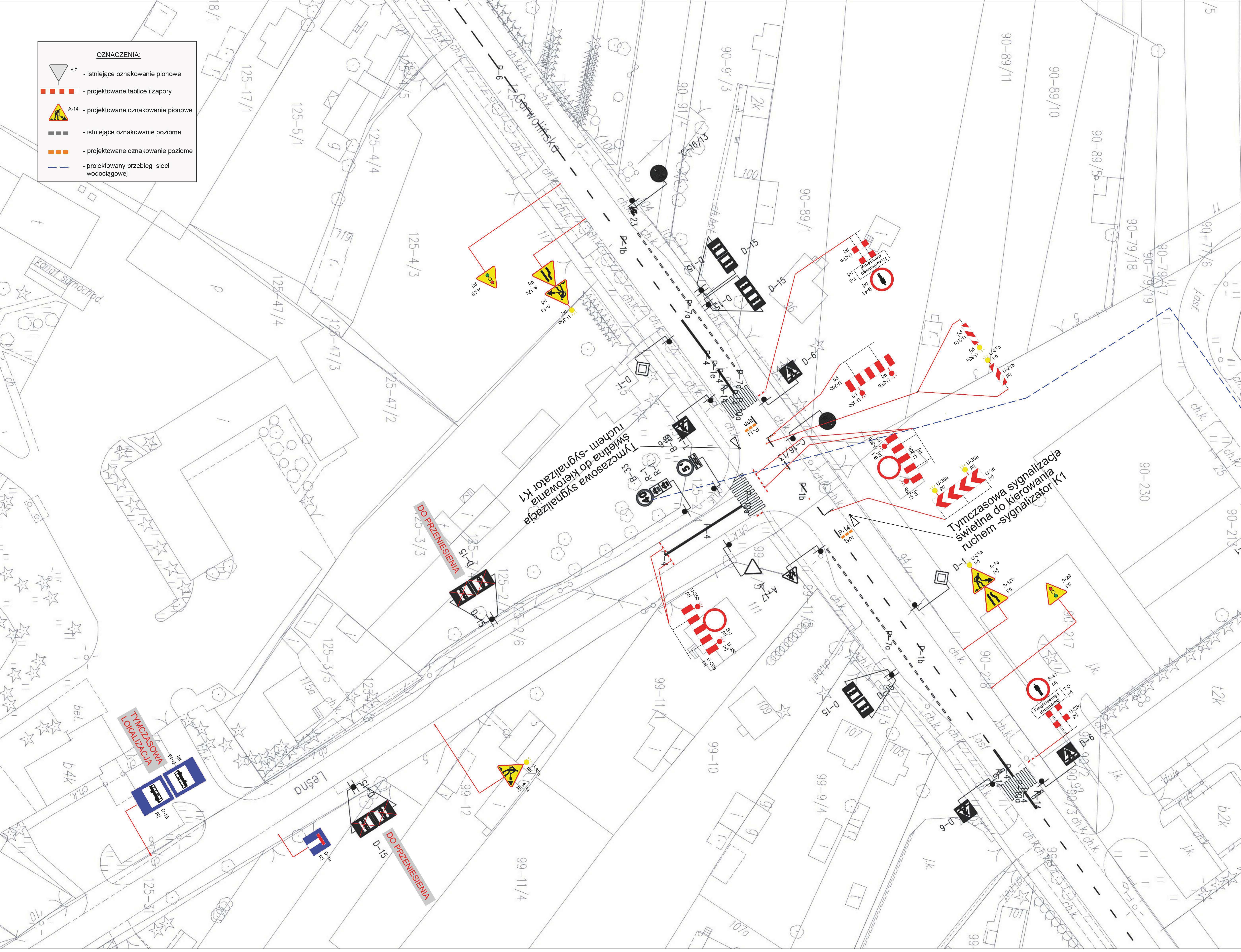
Od wtorku, 23 września 2025 roku, o godzinie 8:00 na ulicy Garwolińskiej w Siedlcach (w rejonie skrzyżowania z ulicą Leśną) zostaną wprowadzone czasowe zmiany w organizacji ruchu. Zmiany te są konieczne z powodu prowadzonych prac budowlanych związanych z rozbudową magistralnej sieci wodociągowej.
Inwestycja ma na celu modernizację infrastruktury wodnej miasta, co przyczyni się do zwiększenia niezawodności oraz efektywności dostawy wody do mieszkańców Siedlec.
Szczegółowe informacje dotyczące nowej organizacji ruchu zostały przedstawione na załączonym planie.

BIP